当前位置: 材料牛 » HTH官网地址 » 导读 » Small: InZn双金属 MOFs 衍生中空碳管微结构精准调控构建高性能超级电容器和钠离子电池双用途新材料

Small: InZn双金属 MOFs 衍生中空碳管微结构精准调控构建高性能超级电容器和钠离子电池双用途新材料

【引言】

为加速电动汽车商业化及推动交通领域碳中和,发展经济高效、高能量和高功率密度的电化学电源至关重要。钠离子电池(SIBs)具有比锂离子电池(LIBs)更丰富的资源丰度和高安全性,有望成为大规模储能电池。超级电容器(SCs)虽然比能量较低,它的快速充放电能量、高功率密度和长寿命等优势,成为动力电池有效的功率辅助电源。本研究从铟锌双金属MOF出发,通过精准调控该MOF衍生中空多孔碳管的微纳结构,实现其在超电和钠离子的双应用,为进一步开发超高能量和功率密度碳材料提供了新策略。

【成果简介】

近期,北京化工大学潘军青教授课题组提出了通过调节铟锌双金属MOF(InxZny-MIL-68)的金属比例,制备了具有高比容量的新型可调控的多孔中空碳纳米管(PHCNT-x)。制备的InxZny-MIL-68中的In会首先形成氧化铟,随后还原为液态金属In(熔点:156.61 oC),并逐步聚集、融合和流出后形成中空碳结构。添加的锌离子通过氧化还原反应,消耗周围碳原子,并伴随锌的蒸发形成多孔结构(图1)。优化后的PHCNT-4电极具有独特的中空结构和合适的微孔/介孔含量,在SCs和SIBs的应用中表现出优异的比电容(358.6 F g-1 @1 A g-1;318.2 mAh g-1 @0.1 A g-1)和倍率性能(235.0 F g-1 @300 A g-1;193.4 mAh g-1 @5 A g-1),显示出其卓越的电容储能能力。这项工作通过精确调节双金属MOF衍生碳材料的成分,实现了亚纳米级中空管道的直径和孔径的精准调控,为进一步开发超高能量和功率密度碳材料提供了一个前景光明的策略。相关成果以标题为“Precise tuning of hollow and pore size of bimetallic MOFs derivate to construct high performance nanoscale materials for supercapacitors and sodium-ion batteries”发表在Small(DOI:10.1002/smll.2306272)。课题组宋金禄硕士生和柴路路博士生为论文共同第一作者。

【图文导读】

图1. PHCNT-x的合成方案示意图

PHCNT-x材料的制备过程如图1所示。首先,通过将In3+和Zn2+与有机配体连接形成八面体MO4(OH)2单元,精确In/Zn比例得到双金属InxZny-MIL-68六角柱。该MOF结构中金属-羧酸键通过热解生成CO2、水蒸气和挥发性有机化合物的释放来形成多孔中空碳结构(HCNT-x)。最后通过酸蚀法进一步除去HCNT-x前体中残留的In和Zn纳米颗粒,形成具有大比表面积和丰富孔结构的中空碳结构(PHCNT-x)。

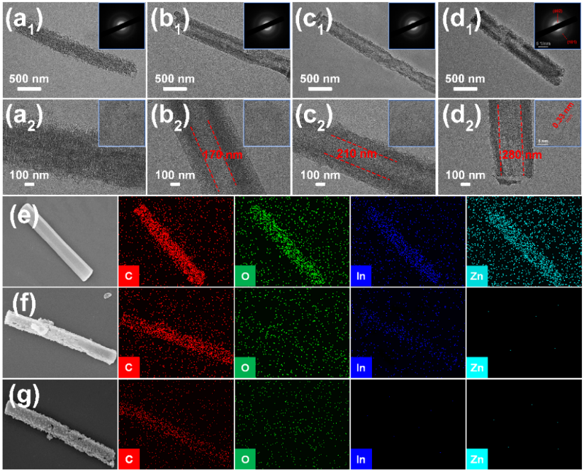
图2.(a)PHCNT-1、(b)PHCNT-2、(c)PHCNT-3、(d)PHCNT-4的TEM图像。(e)In1Zn2-MIL-68、(f)HCNT-4(酸蚀刻前)和(g)PHCNT-4(酸蚀刻后)中C、O、In和Zn的SEM元素分布图。

通过In和Zn的溶解过程,PHCNT-x的中空通道直径逐渐从170 nm增加到280 nm(图2a-d),碳孔结构更加丰富,为高电容和Na+存储性能提供了结构基础。这些结构通过热解(图2e,f)和酸蚀(图2g)得到强化,形成具有大表面积和丰富孔结构的多孔PHCNT-4。

图3.(a)In1Zn2-MIL-68的TGA曲线。(b)In1Zn2-MIL-68、HCNT-4和PHCNT-4的XRD图谱。PHCNT-1、PHCNT-2、PHCNT-3和PHCNT-4的(c)拉曼光谱、(d)N2吸附-脱附等温线、(e)孔径分布曲线和(f)平均孔径。HCNT-4和PHCNT-4的(g)C1s、(h)O1s和(i)In 3d的XPS高分辨率光谱。

通过调节In和Zn的比例,研究了In1Zn2-MIL-68的热重分析(TGA)曲线,显示了两个失重阶段,分别对应脱羧过程中In2O3的转化和氧化还原反应过程中还原的液态金属In(图3a)。粉末X射线衍射(PXRD)图显示,MOF成功地转变为无定形碳结构,这与SEM和TEM的结果一致(图3b)。拉曼光谱中的ID/IG值表明PHCNT-4的石墨化程度更高,尤其是在含有更多Zn的情况下。在碳化过程中,In1Zn2-MIL-68首先发生脱羧和热分解,释放CO气体并形成In/ZnO/C复合材料。与In3+物种相比,Zn2+物种的价态较低,因此在高温氧化还原反应过程中消耗的碳纳米粒子更少,从而提高了石墨化程度(图3c)。这种石墨化过程将无定形碳结构转变为高导电性的石墨结构,增加电子传导通道,提高表面积,改善孔隙结构,促进离子传输,从而增强碳材料的导电性和倍率性能。此外,N2等温线和相应的孔径分布(PSD)曲线研究表明(图3d-f),In1Zn2-MIL-68具有特征I型等温线,微孔为1.1-1.3 nm。而HCNT-4和PHCNT-4表现出IV型等温线,揭示了由于MOF结构中的骨架塌陷以及相关物质的分解/蒸发而产生的微孔和介孔结构。PHCNT-4具有更大的孔容和BET比表面积,这主要是因为金属颗粒的有效去除在碳骨架中产生了额外的空隙并激活了碳表面。X射线光电子能谱(XPS)测试揭示了样品的表面元素态(图3g-i)。C 1s高分辨率光谱显示了六个峰,包括C-C sp2、C-C sp3、C-O、C=C、-COO和卫星峰。O 1s高分辨率光谱证实了酸刻后PHCNT-4材料中的In-O键的消失,这与TEM和PXRD结果一致,表明酸化成功去除了残留的金属纳米颗粒。

图4.(a)PHCNT-4用于SC的示意图。(b)HCNT-4和PHCNT-4的GCD曲线。PHCNT-1、PHCNT-2、PHCNT-3和PHCNT-4的电化学性能:(c)100 mV s-1下的CV曲线,(d)100 A g-1下的GCD曲线,(e)奈奎斯特图,(f)100 mV s-1下不同材料在CV曲线中的电容贡献,以及(g)不同电流密度下的比电容比较。(h)倍率性能以及与文献的比较。(i)1 A g-1时的中孔大孔百分比与倍率保留率的关系,以及(j)比表面积和比容量的关系。

图4a展示了PHCNT-4作为超级电容器电极的示意图。中空多孔结构不仅提供了更大的内部容积,有助于电解质的有效渗透和离子扩散,增加了电化学活性表面积,促进了离子在电极-电解质界面的快速传输,缩短了离子扩散距离。图4b显示了HCNT-4和PHCNT-4电极的电容性能。结果表明,PHCNT-4的比电容(358.6 F g-1)远高于HCNT-4(221.2 F g-1)。所有材料的CV曲线都呈现近似矩形的形状(图4c),证实碳材料具有较理想的电双层电容器(EDLC)行为。图4d显示了上述样品在100 A g-1时的GCD曲线。PHCNT-4表现出最长的放电时间(4.6秒)和内阻(IR)下降最小(60 mV),表明其具有最高的比电容和倍率性能。PHCNT-4的也展示了最低的阻抗值,其等效串联电阻Rs 为0.18 Ω,从另一个方面展现了优秀的润湿性和发达的孔隙结构。图4f表明,PHCNT-4在100 mV s-1时仍贡献了最佳的比电容。PHCNT-4在300 A g-1时的电容保持率比其他电极高出65.5%,显示了出色的快速充放电性能(图4g)。图4h总结了PHCNT-4的速率性能,显著优于其它MOF衍生碳材料。图4i-j表明低速电容性能主要受微孔和比表面积的影响,而介孔和大孔结构有利于提高离子扩散动力学和高速率性能。

5.(a)碳材料用于钠离子电池的PHCNT-4的示意图。(b)PHCNT-4和CNT的CV曲线,(c)PHCNT-4和CNT在1 A g-1下的充放电曲线,(d)PHCNT-4和CNT的EIS曲线及等效电路,(e)PHCNT-4和CNT装配的SIB在不同电流密度下的充放电曲线、(f)PHCNT-4和CNT的倍率性能曲线;(g)PHCNT-4组装的SIB与其他已报道材料的比较;(h)PHCNT-4组装的SIB的循环曲线;以及PHCNT-4(i)循环前和(j)循环后的SEM和元素分布。

我们通过扣式电池测试研究了PHCNT-4材料的钠离子存储性能。图5a描述了PHCNT-4的储钠机制示意图。PHCNT-4的中空结构不仅提供了充放电过程中钠离子的充足储存空间。内部中空和多孔壁结构也有助于钠离子的快速扩散、吸收和释放,从而提高了电容量、倍率性能和循环寿命。图5b显示了固体电解质界面(SEI)的形成过程,经过前3个循环后,CV曲线逐渐重叠,表明钠离子存储过程具有良好的可逆性。PHCNT-4电极的不可逆面积小于CNT电极,这是PHCNT-4电极初始库伦效率较高的原因。图5c显示了PHCNT-4和CNT在0.1 A g-1下的GCD曲线,PHCNT-4的初始库伦效率较高。EIS测试表明PHCNT-4得益于其中空和多孔结构,阻抗值远远低于CNT,这有利于离子交换能力(图5d)。图5e、f展示了PHCNT-4和CNT之间的倍率性能比较。PHCNT-4电极在0.1、0.5和1A g-1时分别表现出318.6、275.1和256.9 mAh g-1的可逆容量,占CNT的分别为122.4、62.7和53.1 mAh g-1的260-484%。当电流密度降至0.05 A g-1后,PHCNT-4电极的可逆容量基本上得以恢复,表明倍率性能和耐久性良好。图5g对比比较了几种碳材料的比容量和速率性能,其中PHCNT-4因具有丰富的微孔/介孔、大孔体积、增强的表面积和优异的电导率,表现了比碳纳米管等材料更高的比电容和循环容量。为了进一步检测形貌/结构特征的变化,进行了SEM和元素映射测试,以检查PHCNT-4在循环测试后的形态。从图5i、j中可以看出,它仍然保持着原始的棒状形态,仅氧含量略微增加,这可能是由于吸收了残留的NaClO4电解质,表明其在钠离子电池中具有出色的稳定性。

6.(a)PHCNT-4和CNT中Na+存储的示意图。(b)Na+沿PHCNT-4和CNT迁移的能量分布,其中两个插图显示了Na+的迁移路径。(c)PHCNT-4和CNT的态密度(DOS)。(d)和(e)PHCNT-4表面缺陷的电荷密度分布。(f)和(g)充放电前后PHCNT-4和CNT之间Na+含量的比较。

PHCNT-4的卓越性能源于其中空多孔结构,它促进了Na+的快速扩散和有效储存,为储存碱金属离子提供了更多活性位点,并提供了牢固的框架来容纳钠离子。进而提高了电化学性能。密度泛函理论(DFT)第一性原理计算结果显示,PHCNT-4中的Na+迁移受到缺陷的显著影响,其迁移势垒远低于CNT,这有利于Na+的吸附和迁移。此外,电子态密度(DOS)函数分析揭示了PHCNT-4具有更高的电导率,这与实验结果一致,表明其更适合作为电极材料。进一步的差分电荷密度分布研究显示,Na+与PHCNT-4的缺陷结构之间存在更强的相互作用,这有助于更有效地储存和释放Na+。在循环测试中,PHCNT-4和CNT表面的Na+含量发生显著变化,但PHCNT-4的Na+含量变化范围更大,特别是在充电过程中,其Na+含量明显高于CNT。这表明PHCNT-4能够更多地容纳Na+,这要归功于其中空多孔结构,使其成为出色的钠离子电池电极材料。

小结

通过调整双金属MOF中铟和锌金属之间的比例,成功实现了对碳材料中空管道直径和孔隙尺寸的精确控制,制备的PHCNT-4具有大的比表面积(2756 m2 g-1)和高电导率,在SCs和SIBs中表现出出色的电化学性能。在超电方面,PHCNT-4在三电极下提供358.6 F g-1比容量,并在超高电流密度下(300 A g-1)仍保持初始容量的65.5%,表现了出色的倍率性能。此外,该碳材料经过100,000个循环后容量保持率为98.3%。在钠离子电池方面, PHCNT-4在0.1 A g-1下的比容量为318.6 mAh g-1,并在1 A g-1下循环1000个周期后仍保持了88.5%初始容量,表现了良好的长期循环性能。相比于现有碳纳米管,循环性能和倍率性能有了显著的提升,得益于其开放的管状中空结构。DFT和相关能垒计算显示较低的离子迁移势垒,导致PHCNT-4中介孔道中Na+的迁移能力增强。这项工作为开发高性能超级电容器和钠离子电池提供了新型多孔中空管状碳材料。

未经允许不得转载:材料牛 » Small: InZn双金属 MOFs 衍生中空碳管微结构精准调控构建高性能超级电容器和钠离子电池双用途新材料

相关文章

Baidu
map